Enquanto o furacão Melissa se aproxima da costa cubana com força crescente, uma onda de preparativos e solidariedade toma conta da ilha caribenha. Uma brasileira que reside no país compartilha com exclusividade os bastidores desta mobilização em massa que une governo e população.
Alerta máximo ativado
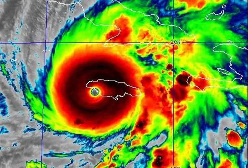
As autoridades cubanas já declararam estado de alerta máximo em várias províncias, com especial atenção para as regiões costeiras mais vulneráveis. Segundo relatos, os ventos do Melissa já ultrapassam os 150 km/h, classificando-o como um furacão de categoria 2 na escala Saffir-Simpson.
Brasileira testemunha mobilização histórica
"É impressionante ver como todo mundo se ajuda", relata a brasileira Ana Silva (nome fictício), que mora em Havana há três anos. "Os vizinhos estão ajudando a proteger janelas, compartilhando alimentos e verificando se todos os idosos da região têm um lugar seguro para ficar."
Ela descreve cenas de união que raramente se vê em outras circunstâncias: "As filas nos mercados são longas, mas as pessoas mantêm a calma e até cedem lugar para quem precisa de itens essenciais. Há um senso de comunidade muito forte."
Preparativos em andamento
- Evacuação preventiva de áreas de risco
- Estoque de alimentos e água potável
- Proteção de janelas e portas
- Suspensão de atividades escolares e trabalhos não essenciais
- Ativação de abrigos temporários
Experiência cubana com furacões
Cuba possui um dos sistemas de defesa civil mais eficientes do mundo quando o assunto é enfrentar furacões. O país tem protocolos bem estabelecidos que são acionados imediatamente diante de qualquer ameaça climática significativa.
"Aprendi muito sobre resiliência morando aqui", complementa a brasileira. "Eles têm uma capacidade incrível de se organizar e se proteger diante dessas emergências."
Previsões meteorológicas
Os meteorologistas projetam que o furacão Melissa deve atingir o território cubano nas próximas 24 horas, trazendo consigo:
- Ventos extremamente fortes
- Chuvas torrenciais
- Risco de inundações costeiras
- Possíveis deslizamentos de terra em áreas montanhosas
Enquanto o mundo acompanha a trajetória do Melissa, em Cuba prevalece o espírito de união e preparação que já se tornou marca registrada do povo cubano diante das adversidades naturais.



